Učitavanje


| Grad/Općina i naselje: | Vrlika - Podosoje |
|---|
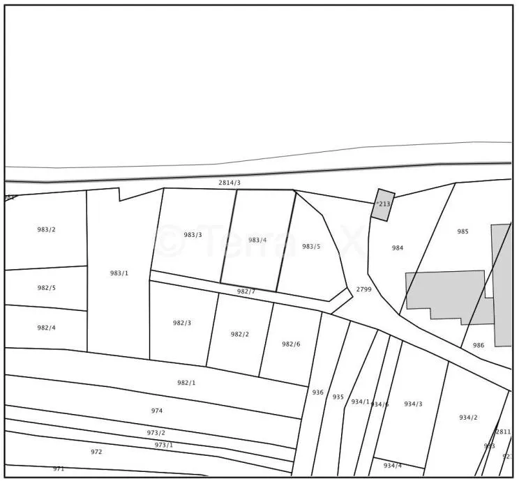
Vrlika - Podosoje
Na prodaju su 4 građevinske čestice, površina od cca 450 do cca 640 m2, s pristupnim putem.
Ukupna površina sve 4 parcele zajedno iznosi 2.231 m2.
Cijena: 45 EUR/m2.
Cijena pojedine parcele: od cca 20.000 EUR do cca 28.000 EUR.
Ukupna cijena za sve 4 parcele + put: cca 110.000 EUR.
Priključci za vodu i struju su uz parcelu.
Kanalizacija u izgradnji - očekivani dovršetak 2026. godine.
Pristup do parcela s dvije uređene ulice.
Udaljenost od Peručkog jezera cca 1 km.
Uredno vlasništvo.
Katastarski uređeno.
Zemljišne knjige u obnovi.
Agencijska provizija: 3% + PDV.
Više informacija na: 095 584 0421, Željko
info@terra-x.hr
Livanjska ulica 18/A, 10000 Zagreb