

| Grad/Općina i naselje: | Čavle - Cernik |
|---|
| Komunalije | Struja |
|---|
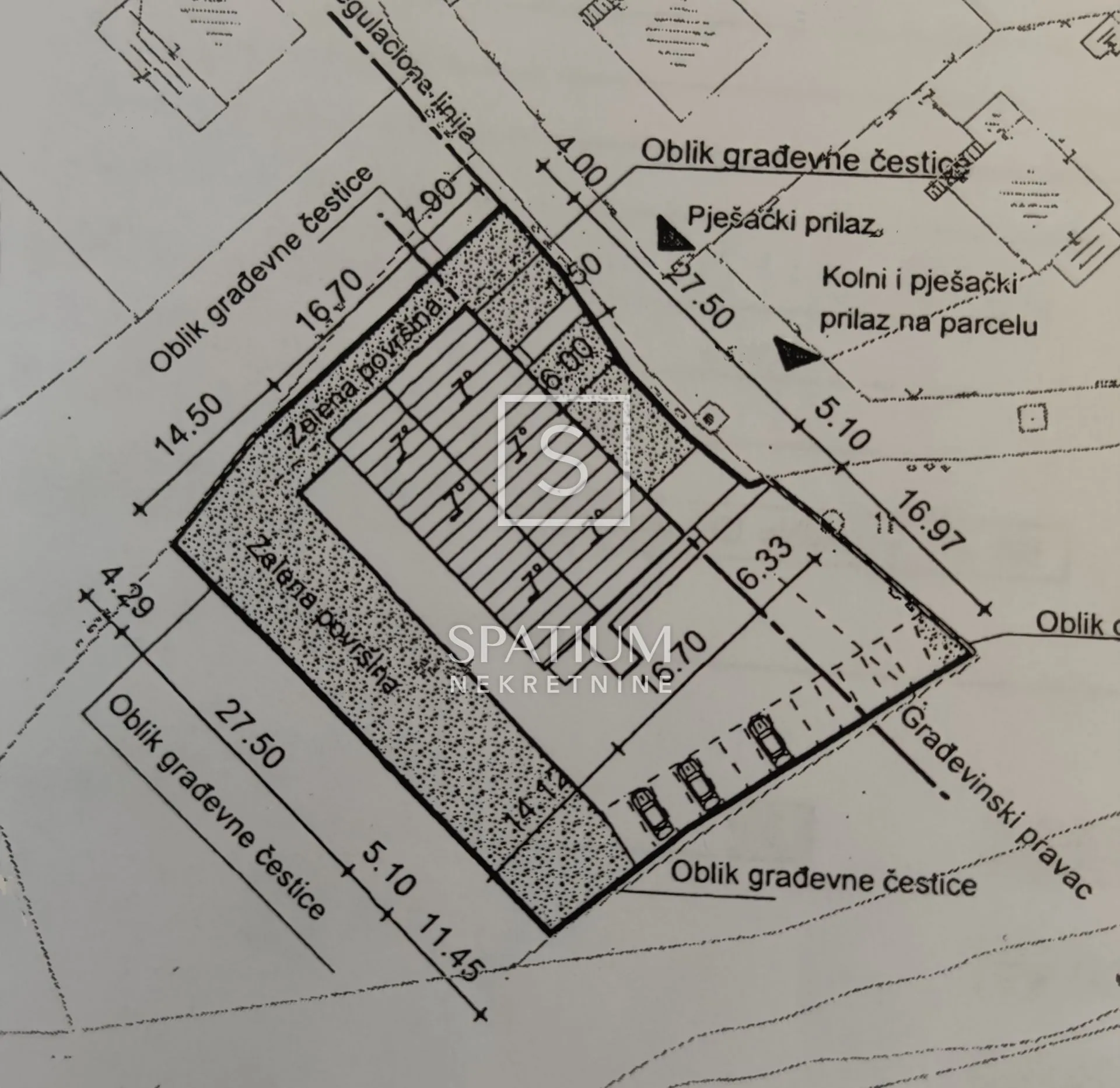
ČAVLE, CERNIK, u ponudi je zemljište površine 2992 m2 koje se nalazi u stambeno - poslovnoj zoni. Zemljište je pravilnog oblika te se svi potrebni priključci nalaze uz teren. Smješten je uz autocestu te je okružen kućama i zelenilom. Zemljište ima uređen kolni i pješački prilaz. Čavle je općina u Hrvatskoj. Nalazi se u Primorsko-goranskoj županiji. Povoljan prometno-zemljopisni položaj Rijeke u srednjeeuropskom prostoru je značajan preduvjet razvoja općina u riječkom prstenu, a tendencija širenja i suburbanizacija Rijeke potenciraju razvojne mogućnosti općine Čavle. Preko Grobničkog polja i većeg dijela područja općine prolazi državna cesta Zagreb - Rijeka, jedna od najvažnijih prometnica u funkciji prometnog povezivanja Hrvatske i središnje Europe. Za sve ostale informacije obratite se s povjerenjem. Jana Hodak agent s licencom + 385 98 1671 888 jana@spatium.hr Spatium nekretnine + 385 51 272 903 info@spatium.hr ID KOD AGENCIJE: 889 Jana Hodak Agent s licencom Mob: +385 98 167 1888 Tel: +385 51 272 903 E-mail: jana@spatium.hr www.spatium.hr
info@spatium.hr
Šetalište Andrije Kačića Miošića 5, 51000 Rijeka